Kopfzeile

Inhalt

aktuelle Baustellen in Rupperswil

Achtung Umleitung
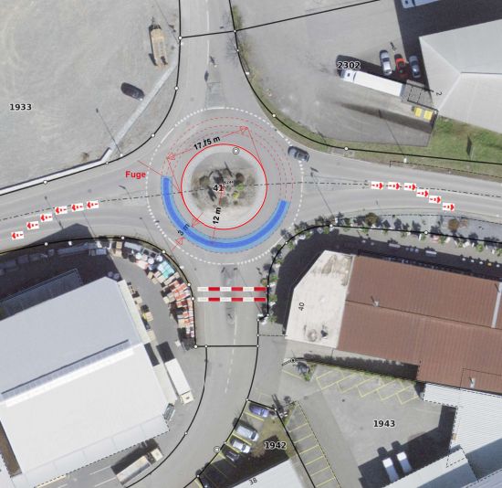
Rupperswil Bruggerstrasse: Kreisel Hard-Wiesenweg

Der Kanton Aargau saniert am 21. Oktober 2025 den Kreisel Hard. Es sind Fräs- und Belagsarbeiten vorgesehen, welche den Zugang zu bzw. ab dem Wiesenweg verunmöglichen. Der Zugang wird durch eine signalisierte Umleitung via Schweizistrasse sichergestellt, Lastwagen dürfen an diesem Tag ausnahmsweise passieren.

Der Durchgangsverkehr im Kreisel Hard nach bzw. von Wildegg sowie Richtung Industrie ist von der Sperrung nicht betroffen und wird unter Einsatz des Verkehrsdienstes gewährleistet.

Wir danken für Ihr Verständnis.

 

Achtung Baustelle
«Im Winkel»

 

Im Rahmen der regelmässigen Strassenzustandskontrollen wurden im Bereich «Im Winkel» zahlreiche Schlaglöcher und Oberflächenschäden festgestellt. Diese Mängel stellen ein Sicherheitsrisiko dar.

Zur Wiederherstellung der Verkehrssicherheit steht eine Sanierung des Deckbelags an (ein Bereich von ca. 40m2). Die Massnahme umfasst das Fräsen des beschädigten Asphaltbelags und den anschliessenden Einbau einer neuen Tragdeckschicht.

Die Zufahrt zu folgenden Strassen ist via Kreuzung «Im Winkel» nicht möglich:

Bannhalde, Unterm Bann, Staufbergweg, Im Winkel

Die Arbeiten finden vom 10.09.2025 bis am 11.09.2025 statt.


Besten Dank für Ihr Verständnis.


 

Achtung Baustelle                       
Hardstrasse

Für die Erschliessung des neuen Stufenpumpwerks auf Parzelle 1125 sind einerseits die Werkleitungen im Bereich der Hardstrasse 21 neu zu verlegen und andererseits wird für die Sicherung der Baugrube ein Teil der Hardstrasse temporär in Anspruch genommen.

Die Ausführung dieser Arbeiten finden vom 22. April bis ca. August 2025 statt. Der Durchgang im Bereich der Baustelle ist trotzdem jederzeit möglich. Der Baumeister ist bestrebt, die notwendigen Bauarbeiten speditiv zu realisieren.

Besten Dank für Ihr Verständnis.